【令和 7年 8月29日(金)~令和 7年 8月30日(土)】

先月に続き今年2回目にして最後のシュノーケリングツアーに、座間味島へ1泊2日で高速船で行って来ました。

今日は普通の金曜日ともあって、道も通勤ラッシュで混んでいたので、朝タクシーに乗って8時20分頃に何とか高速船乗り場に着いたんですが、もうすでに乗船待ちの列ができてました。

でも、さすが高速船。
船に乗ったら到着するのが早い!
午前9時50分に座間味島に着きました。

宿まで歩いて到着すると、玄関を入ってすぐの所に、宿の女将さんが居たので「お早うございまーす。」と声をかけると、「えっ!」と驚いた声を出されました。
まさか予約が入ってなかったのか?と少しビックリしたんですが、いつもはフェリーで来るので、もっと遅い時間に到着すると思ってたらしく驚かれたようでした。
ちゃんと宿の予約自体は入ってました。
ただ、来るのが早すぎて、まだ部屋の用意がされてなかったので、今日泊まる部屋が2号室か3号室かは不明との事で、一旦荷物だけ玄関先に置かせてもらって、泳ぎに出かける事となりました。

港まで戻ると、LINEで今日と明日の送迎を宮平さんに予約してて、船も居たので すぐに安慶名敷島へと出航となりました。
先月に来た時には宮平さんも忙し過ぎて、大分送迎スケジュールが一杯一杯のようだったんですが、今は大分混雑しなくなって落ち着いているとの事でした。
まあ、夏休みも もう終わりだしねー。

島に上陸すると、今日も快晴で申し分無い天気でした。
海の色 最高ー!!!

いつものように汗だくになりながらテントをペグで固定した後、うちの奥さんがその上にデッカイ石をのっけて設置完了しました。

でっ!そのまま海に飛び込みました。
やっぱり今日も海は綺麗でした。
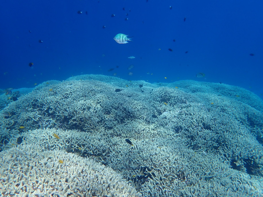
去年の終わり頃には、珊瑚が少し白化しかけていたんですが、無事に綺麗なままの色で満足でした。

まずは一番沖の緑色の珊瑚の群生の所まで泳いで行きました。
今日は高速船で来て、島に上陸した時間が少し遅かったので、もうすでに海の中は濁りはじめてました。

その群生の左側横の珊瑚の密集している辺りに移動すると、こちらでは稚魚が群れてました。

取り敢えず1本目は、そこから島の左奥の岩場の所まで泳いで行き、いつもの珊瑚の密集場所まで頑張って泳ぎました。

やっぱり ここは最高に綺麗で、大満足でしばらく眺めてました。

帰りは、海岸沿いに岩場の珊瑚を眺めながら、ゆったりと泳いで帰りました。

この岩場周辺には、たくさんの珊瑚が養殖されているようで楽しみながら帰れます。

もうすぐテントに着くという近場辺りで、何やら枝に擬態したような魚を見つけました。
本当にこの魚が泳いでいる様子は、枝か何かが流されているような動きをしてました。
いろんな魚が居るもんだねー。

約1時間程泳いでテントまで戻って来ました。
泳ぎ過ぎて結構疲れたー。
ちょっと長く水に入り過ぎて、二人とも鼻が詰まってました。

テントに戻って、しばらく休んでいると、丁度昼の時間になったので、今朝 うちの近所のセブンイレブンで買って持って来たサンドイッチとおにぎりを頂きました。
さすがコンビニ、間違い無い美味さでした。

食後は昼寝をしたんですが、大分疲れていたのか結構な時間昼寝してました。
うちの奥さんは、まだ寝足りないと言ってました。

ただ、目が覚めた時に空には雨雲が大分近づいて来てるなーと思ったら、パラパラと音を立てて雨が振り出してきました。
テントの後ろ側からも雨が入り込んできてたので、テントのチャックを閉めて雨をしのぐ程降ってきました。

しばらくテントで休んでいたら、雨もやんできて少し晴れ間も出てきたので、また もうひと泳ぎする事にしました。
ただ、体は冷えていたので、海に入ると結構寒くて震えたんですが、意を決してザブンと飛び込んでみました。
最初は寒かったけど、泳ぎだすと徐々に水温にも慣れて来ました。

今回の泳ぎは砂浜から、島の海岸沿いに左方向へと泳いで行く事にしました。
泳ぎ始めると、少し左側方向への流れを感じました。

珊瑚が綺麗だなーっと思いつつ眺めながら進んでいると、段々と流れが強くなっているのを感じました。
でも、一番左奥の珊瑚の岩までは行こうと決めてました。

がっ!!
思ったより流れが強過ぎて、やっぱり行くのを辞めようかと後ろに居た うちの奥さんを探すと、もうすでに岸方面へと泳ぎだしていました。
私も必死にバタ足で海岸にたどり着くと、うちの奥さんも、流れがきつ過ぎて泳ぐのをあきらめたとの事でした。

岸に上がって海岸沿いの岩を歩いてテントまで戻ってきました。
しばらくテントで休んでいると、目の前で泳いでいる人達が、私達と逆方向の右側に流されていて、左方向にバタ足で泳いでも全く進まない程流されてました。
そういえば今朝、島に送迎してもらった時に、宮平さんが午後3時頃から右側に流れが出ると思うので気を付けてと言ってたの思い出しました。
テントから少し左前方にある岩場辺りから、左右に流れが分かれているようでした。
まだ2時半くらいだったので大丈夫だと思っていたんですが、小潮なのにこんなに流れがあるとはビックリでした。

最後に、テントから真っすぐ沖へ直進方向へと泳ぎました。

沖からまたテント方向へと戻れば、何とか流れにも当たらずに帰って来れました。

一度、空が曇ってきた時に、この高台からの島の全体の写真を撮ってたんですが、海の色が悪かったので、最後にもう一度写真を撮り直しました。
やっぱり晴れてる写真は全然海の色が違うねー。

午後4時過ぎになり、帰りのフェリーも出航して行きました。

これは、ミステリサークルっぽく誰かが作ってた物です。
他にも いくつか作られてました。

今日のお迎えは午後4時半でした。
他に数組が島に残ってましたが、たぶん同じ頃の迎えっぽくて、皆テントを畳んで帰る用意をしてました。

宿に戻って、今朝女将さんに部屋が2号室か3号室か聞いてなかったので、探したんですが見当たらず、部屋に入る事が出来ず途方に暮れて、以前宿のおばあちゃんが居た部屋をノックして見ると、娘さんが出て来たので事情を話して女将さんを探してもらいました。
女将さんの声がシャワー室の方から聞こえてきて、今日は真ん中の部屋の2号室との事でした。
すぐにシャワーを浴びて、海用品を屋上に干し終えると、何とか夕食時間前の18時前ギリギリくらいの時間でした。

今回は2ヶ月も前から「まるみ屋」の予約を入れていたので、店に入ると いつもよく座る事の多い一番奥のテーブルを予約されてました。
取り敢えず、まずカンパーイ!!と美味しいビールを頂きました。
やっぱり泳いで疲れた後のビールは美味い!

つまみも、よく頼む定番の4品程を頼んだんですが、以前よりも一品一品の量が減ってるようでした。
まあ、このご時世だし仕方無いかー。(>_<)

食後は「105ストアー」に寄って、明日の飲み物や今晩の2次会用の飲み物と つまみ類を買って宿に戻りました。
さすがに この時間くらいになるとレジの混雑も無く、すんなりと買えました。
今日の二次会は、外が暗くなっていたので港へは行かずに部屋で頂き、本日は就寝となりました。

2日目の朝。
食堂へ入ると、7月程お客さんも来ていないようで、テーブルに用意されているお盆の数も少な目でした。

今朝の安慶名敷島への送迎の時間は9時出発と指定されていたので、朝食後すぐに また本日も「105ストア」へと向かいました。
今日もやっぱりお客さんの数が少なかったので、お気に入りのお弁当も十分に有り 買う事ができました。

部屋へ戻って少しして、港へと向かいました。

9時出発のお客さんは私達だけだったので、すぐに出航となりました。

安慶名敷島には まだ誰も上陸してなく本当の無人島を味わえました。
すぐにテントを設置し終えて、準備完了となりました。
今日は那覇から雨雲がこちら方面へ向かって来るとの天気予報だったので、宮平さんにも「降ったり止んだりでしょうね。」と言ってました。

なので最初の1本目の泳ぎを楽しもうと、すぐに海へ飛び込むと、この島で初めてウミガメが居るのを見れました。
たぶん子亀だと思いますが、50~60cmくらいの大きさで、私達が近づいても全く逃げようともしなかったので、しばらくの間 動画を撮る事ができました。
ラッキー!!ウミガメの画像が撮れて大満足でした。

その後、沖の緑色の珊瑚の群生まで泳ぎ、潜って写真を撮りました。

そこから左方面へ泳いで行くと、小魚の群れがたくさん居ました。

そこからさらに、島の一番左奥の珊瑚の群生の岩の所へと泳いで行きました。

今日も最高の景色で、綺麗な写真が撮れました。

ここからの戻りは、また海岸沿いに珊瑚を眺めながらと戻って行きました。

泳いでいると、途中でウミヘビと遭遇し、思わず写真を撮りました。
うわー!子ヘビでしたが、やっぱり怖い。

テントまで戻って来て、少し休んでいたんですが、今朝見た雨雲が居なくなってました。
ケラマは、那覇方面が雨模様でも、全く天候が違うとよく聞くんですが、本当にそんな天候でした。

今日は早い時間に島に上陸してたので、午前中にもう1本泳ぐ事にしました。
まだ透明度も良くて、綺麗なサンゴの群生を見れました。

珊瑚の群生も 潜るとさらに綺麗に見れて満足でした。

テントへ戻って来て、しばらく休んでいると、12時着のフェリーがやって来ました。
お昼の時間です。

今朝買って来たお弁当に、サンドイッチをプラスして昼食を頂きました。
美味かったー!

食後に少し昼寝をした後に起きて見ると、シーカヤックツアーのお客さん達が、島から帰って行くのが見えました。

結構カンカン照りで暑くなってきたので、また海に飛び込みました。
海岸近くの いつも素通りしていた珊瑚の中にも、ニモが居るのを見つけました。

でも、やっぱり午後になると 濁りが少し強くなってきてました。

左奥方面の珊瑚の群生の岩まで泳いだ後に、海岸沿いを泳ぎながら戻って行きました。

帰る途中に、デッカイ「ごまモンガラ」が珊瑚をガジガジとかじってました。
産卵期には、かなり警戒していて襲って来たりするんですが、今はそういう時期ではなさそうで、人を全く警戒してなさそうでした。
でも怖っ!

テントへ戻って、またしばらく海を眺めながら まったりとした時間を過ごしました。

午後の高速船もやって来ました。

そろそろ帰りの時間も近づいて来たので、沖の方の緑色の珊瑚の群生まで真っすぐ泳いで見て来ました。

テントまで戻る手前辺りに、真っ黒な魚の群れが居ました。
何回もこの魚たちを見かけたんですが、いつも集団で行動しているようでした。

今日のお迎えの時間午後3時半になり、船に乗船して港へと向かいました。

港に着いて、船から岸へよじ登る時に間違えて、宮平さんが船に設置しているフィンを止める突っ張り棒に足をかけてしまい、突っ張り棒を踏み外してしまいました。
宮平さん、申し訳ありませんでした。

宿で急いでシャワーを浴びて着替えを済ませ、早々と高速船乗り場のベンチに座って、船が到着するのを待ちました。
少しづつ時間と共に日が傾いてきて、高速船が到着する頃には、煌々と日差しが顔にあたって、熱くて仕方ない状態に陥ってました。
ベンチには座れてたけど、日差しの事までは気が廻りませんでした。
来年はもう少し考えて船を待とうと思います。
今年の夏はこれで終了かなー!
ではまたー。
↓水中動画をまたデジカメで撮って来ました。
安慶名敷島:動画①
安慶名敷島:動画②
安慶名敷島ウミガメ:動画
|