【令和 5年 8月26日(土)】

今日は、以前からWebで予約していたので、高速船に乗って渡嘉敷島へ行って来ました。
高速船乗り場近くの民間駐車場に車を停めて、歩いて船乗り場へ向かうと、今日はちょっと家を出るのが遅かったせいか、もう乗船が始まっていました。
慌ててチケットを購入して船に乗り込むと、まだ席はガラガラに空いてたので助かりました。
急いで来たので飲み物も買ってなかったので、船内で自販機でお茶でも買おうと探したんですが、自販機が無かったので、仕方なく一度船を降りてチケット売り場横の自販機でお茶を購入して来ました。
ドタバタでしたが、まだ出航までは余裕でした。
今日は満席のはずだったんですが、全然席が埋まらなかったので、キャンセルが出てたのかなーっと思っていたら、出航間近になって来ると、席が埋まって来て、ウロウロと席を探す人達で一杯でした。
どうしてもうちょっと早く来ないかねー!

「とまりん」を出てウトウトとしていると、すぐ渡嘉敷島に到着しました。
今日は「シーフレンド」で送迎を予約してました。
天気は晴れていたんですが、パラパラと雨も降ってました。
さすが渡嘉敷、日帰りの送迎バスは満席でした。
お手軽に来れるので日帰りのお客さんが圧倒的に多いです。

「シーフレンド」の待合室辺りで、一通り説明を受けて解散となりました。

早速、昼食を買いに「新垣商店」へ向かいました。
サンドイッチやおにぎりなども豊富に並んでました。

昼食を購入して、すぐに港近くへ行き、無人島送迎のショップを探すと、去年まで行っていた「マリンハウス阿波連」のレンタルショップでは無人島渡しを辞めてました。
ただ、もう一軒のショップでは送迎をやっていたので、こちらで予約しました。

送迎内容の説明が始まり、何やら遊泳区域の写真を撮るように言われ、写真を撮りました。

ビーチからの出発時間が15分後くらいだったんですが、とても暑過ぎて阿波連ビーチで足だけつかりました。
送迎の船を見ると、バナナボートでは無く普通の船、と言ってもグラスボートになってました。
バナナボートの時もレジャー気分で良かったんですが、グラスボートは海底の景色も見れて乗り心地も良く快適でした。

無人島に着くと、前回の台風のせいか、大分砂地の地形が変わっているようでした。

テントを設置して、すぐに海に飛び込みました。

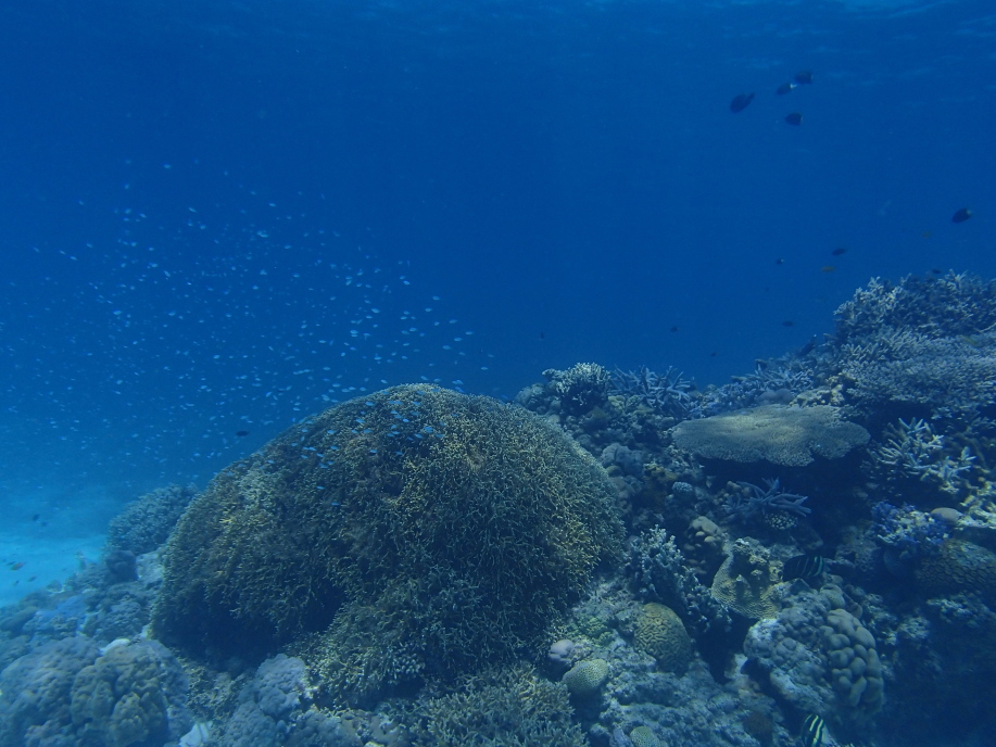
砂浜近くには濁りがあったんですが、少し沖へ向かうと透明度もよくなってきました。

結構水深が深かったんですが、透明度が良く、十分に珊瑚も見れました。

いつも行っている沖の方の珊瑚の群生まで来ると、透明度がグンっと上がって綺麗でした。

今日も潜って写真を撮ったんですが、耳抜きが上手くできず、少し頭が痛くなっていました。

潜ってから水面まで上がる途中で、フグが居るのを見つけたので、写真を撮りながら上がってきました。

しばらく泳いでいると、シュノーケリングツアーの親子を連れたトレーナーがやって来て、「GoPro」らしきカメラを珊瑚の間にセットして動画を撮っているようでした。
さすが、お金を出すと色々な手法で撮影してくれたりするんだなーと思いながら見てました。

ビーチへ戻ろうと泳いでいると、先ほど送迎して来た船の船頭が、うちの奥さんに話かけて来て、遊泳区域を出ているのでビーチ側へ戻れと言ってきました。
仕方なく戻りがてら潜って写真を撮ったりしてたんですが、再度今度は私に船で近づいて来て、早くビーチ側へ戻るように指示して来ました。
ダイビングショップからも苦情が出ているので、遊泳区域内で泳ぐように言われました。
一帯何の苦情だか、後で最初に撮った写真の遊泳区域を見ると、凄い狭い場所しか泳ぐ事が出来ないようになってました。
沖の方まで泳ぎたいなら、シュノーケリングツアーに申込んで、ライフジャケットを着てインストラクターに連れられて来ないと泳げないシステムになっているようでした。
金儲けにも ひど過ぎる!!!

テントへ戻って来て、しばらく遊泳区域の写真を考察してました。

昼の時間になったので、取り敢えず今日買って来たサンドイッチ類を食べる事にしました。
ランチは美味しかった。

食後は昼寝する事にして、たっぷりと1時間程休みました。
今日の迎えの時間は午後3時半に予約してました。
時計を見ると、まだ1時頃でした。

しばらくテントで休んではいたものの、時間を持て余し、空は曇って来ていたんですが、指示された遊泳区域内で少し泳ぐ事にしました。
写真的には綺麗に珊瑚が写っているんですが、何せ泳げる範囲が狭すぎて、おまけにビーチ近くは濁りも強いので、潜って珊瑚を近くから写すしか有りませんでした。

この写真を撮った辺りも、濁りの他、クラゲも一杯居たので、若干嫌になって海から上がりました。

テントも、思ったより海面が上がって来て、水没しかけていたので畳んで、ビーチ近くで海に入っているしかありませんでした。
2時半頃に他の人達の迎えの船が来たので、船頭さんに確認して見ると、予定の時間より早く帰っても良いとの事で、船に乗り込みました。

今日は若潮の日だったんですが、思ったより水深が深くなり、満潮の時間も後1時間後くらいだったので、ほとんど砂浜に居れるような場所は無かったかも知れません。

阿波連ビーチに戻り、ライフジャケットを業者に変換して来ました。

まだ3時前と、少し時間があったので、ビーチの左奥側の監視員が居ないほうで一泳ぎする事にして砂浜を歩いて向かいました。

泳ぎ出そうとしたら、少し沖の方で泳いでいる子供達が、カメがいると叫んでいたので急いで海に入り、そっち方向へと泳いでいきました。
めちゃくちゃ濁りが強かったんですが、子供達が泳いでいる方へ探しに行って見ると、巨大なゴマモンガラがグルグルと周りを泳いでました。
誰も気にしてませんでしたが、私達は この魚が凶暴になる事を知っていたので、怖かったです。

皆が見ている中心辺りを見ると、確かに少し小ぶりのカメが居ました。
ただ濁りが、あまりに強すぎたので、ここから離れる事にして堤防方向へと泳いで行きました。
以前泳いだ時の記憶では、堤防近くに枝珊瑚の群生が居たような気がしたので、結構遠くまで泳いで見たんですが、全く見当たらず、たまに冷たい海流が流れて来たりするので海岸へ引き返す事にしました。
帰る途中に枝珊瑚の残骸らしきものが沈んでいるのは見えたので、もしかすると浅瀬の珊瑚は死滅したのかも知れません。

砂浜に上がると3時半くらいだったので、シーフレンドへ戻る事にしました。

シャワーを浴びて着替えを済ませたんですが、水着やタオルなどが水分をたっぷり含んでいて、かなり重たくなっていたので、日の当たっているベンチに出発時間近くまで干してました。

午後4時40分に港へとバスが出発しました。

高速船乗り場で しばらく並んで待っていると船がやって来ました。
帰路へと向かって船の席で寝ていたんですが、私達の後ろの席の男性が、やたらと大声で電話に出て、多分電波状況が良く無いのか、相手の名前を何度も大声で繰り返していて大迷惑でした。
どうも、ツアーの添乗員らしく、お客さんと話をしているようだったんですが、電波が悪く話が聞こえないのか、電話が途中で切れた時に座席の横の窓枠をバンっと叩いて来たので、何をやってるんだろうと後ろを覗き込むと、周りの人達も皆、その人を見てました。
大大大迷惑野郎でした。
このせいで、あんまり寝る事ができませんでした。
今回の渡嘉敷島の遊泳区域制限で、無人島へ行っても見れるところが少ししか無くなったので、今後は行かない事にしました。
次回や来年からは、頑張って座間味島の日帰りも予定に入れて行こうと思います。
|