【令和 3年 7月15日(木)~令和 3年 7月17日(土)】

毎年6月の終わりに梅雨明けの時期を予想して初泳ぎに行くんですが、今年は梅雨明けが遅く6月の予約はキャンセルして、やっと7月に座間味島に行く事が出来ました。

チケット売り場は緊急事態宣言延長の影響で、やはりガラガラに空いてました。

チッケト売り場の反対側に有る「マーミヤかまぼこ」で、お昼の弁当「キロ弁」を買って行きました。

約1年振りのフェリー乗り場です。

乗船すると船内もガラ空きでした。

天気はと言うと、文句無しの快晴でした。

阿嘉島に到着です。

阿嘉島を出航し、約30分後に念願の座間味島到着となりました。

船着き場の前にあった「公民館」が取り壊されて、「青のゆくる館」という新しい建物に建て変わってました。

船着き場からテクテクと歩いて「サマーハウス遊遊」に到着しました。
食堂でチェッインをしている時に女将さんに聞いて見ると、やっぱり宿泊のお客さんは激減しているそうで、宿も空いてました。
部屋で着替え終わって、宿のお父さんに「古座間味ビーチ」まで車で送迎してもらおうと、また食堂を覗いて見ると、お父さんは若い女の子達3人と楽しそうにトランプをしてました。
お父さんの折角の楽しみを邪魔するのも何だと思い、送迎は頼まず港から出る村営バスで「古座間味ビーチ」へ向かう事にしました。

バス停のそばの港に、いつも無人島へ舟渡しを頼んでいる宮平さんがいて、私達をちょっと呼ぶので近づいて行くと「これから古座間味ですか?もし良かったら、これから安室島へ送迎に行くけど、帰りが4時半で良ければ、ただで乗せて行きますよ!」と、思いがけないお誘いを頂き、二つ返事で乗せてもらう事になりました。
ラッキー!
宮平さん、有難うございます!

安室島に行った事が有るか聞かれたんですが、以前には行った事を離すと、念のため安室島の遊泳区域の写真を撮っておくように言われ撮っておきました。

最近は「安室島」が人気だそうで、お客さんの数も結構増えていました。
私達は貧乏旅行なので、ちょっと高い送迎金額の「安室島」には滅多に行けません。

宮平さんは私達を島に下ろした後、代わりにピックアップのお客さんを乗せて港へと帰って行きました。
有難うございまーす!

いつもの島の基地のテントを貼り終えました。
いつもは大汗を書いてテントを設置するんですが、今日はそれほど暑くはありませんでした。

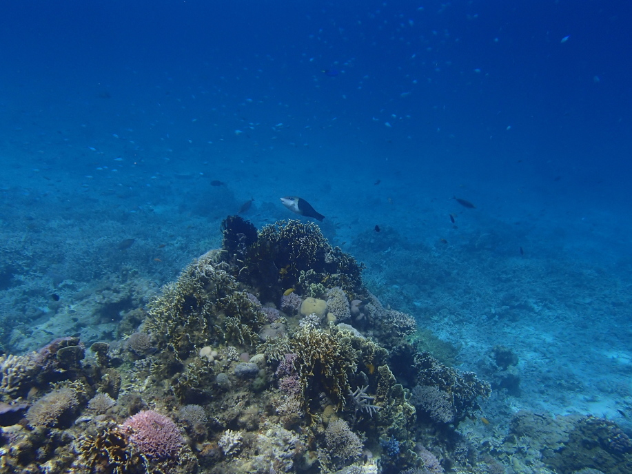
さっき写真を撮った遊泳区域を思い出して、船着き場から右側方面へ泳ぎ出すと、「安室島」は送迎料金がやっぱり高いだけあって、珊瑚の数が桁違いに多く、どこまで泳いでも珊瑚が途切れませんでした。

「カクレクマノミ」の写真もキレイに撮れてました。

ビーチのだいぶ右側の奥の方まで泳いでみたんですが、珊瑚が途切れ無くずっと続いているような気がしました。
途中から、クラゲと浮遊しているゴミが多くなってきたので、砂浜に上がり歩いてテントまで戻って来ました。

少しテントで休憩した後、今度は船着き場から左側の遊泳区域の方へ泳いで見ました。

こちらも珊瑚の群生が凄かったんですが、しばらく進むと海水が異様に冷たくなる場所が有り、凍えそうになりながら泳いでいました。
次回からは、「安室島」へも無人島渡しをお願いしようかと思います。

丁度4時半になり、お迎えに来てもらいました。
さすがにお金も払っていないのに、宮平さんに迷惑をかけれないと思い、迎えの時間になる前から早々とテントをたたんで待っていました。

港に到着すると、宮平さんは私達に気を使って「清算が終わっているので、お先に降りて大丈夫です。」と、他のお金を頂くお客さん達より先に降ろしてくれました。

港から部屋に戻ってシャワーを浴び着替え終わって、いつもの食堂「まるみや」へ少し早い5時半過ぎに出かけました。
実は「座間味島」に来る前の日に、那覇の「ドンキホーテ」で「まるみや」の女将さんに偶然会って、「明日から座間味に行くんですけど、お店開いてますか。」とたずねると、女将さんは「開いてますよ。お待ちしております。」と行ってました。
お店に入って見たんですが、女将さんは居ませんでした。
お店はやっているけど、女将さんは那覇に居たのかも知れません。

お店の営業は、やっぱりお酒類の提供は無かったので定食を頂く事にし、うちの奥さんは「さしみ定食」を注文してました。

私は「カツ丼」を注文したんですが、島のご飯があまり美味しく無い為、どちらの定食もあまり満足できませんでした。
やっぱりこの店は、つまみとお酒が一番のようです。

食後すぐに「105ストアー」へお酒を買いに行きました。

買ったお酒を持って港でカンパイとなりました。
丼一杯のご飯を食べた後のビールは全く美味く無く、お酒が進みませんでした。
部屋でもう1杯づつ飲んで、夜8時過ぎに就寝となりました。

あんまり早く寝たので、夜中に何度も起きたんですが、朝になり朝食の時間となりました。
昨日は、あまり飲んでいなかったんですが、やっぱり朝食が進みませんでした。
どうもこの宿の朝食が苦手のようで、毎回食べ切るのに一苦労しています。

朝9時半頃に港へ行くと、宮平さんの船の前で送迎内容を質問しているお客さんが見えたので、少し急ぎ足で行って船に乗り込みました。
私達と同じ位の年の夫婦2人と、イギリス人の女の娘が1人に、私達夫婦の合わせて5人で「安慶名敷島」へと向かいました。

今日はまだ平日ともあってか、そんなに島の人口も少なく、丁度良いくらいの人数でした。

いつも私達がテントを建てる場所は、海から砂浜が少し盛り上がっている場所なので、海から上がって来た時に足に砂が付かないように、階段状に石を並べて設置しました。

今日もあまり暑くはなかったんですが、海に飛び込みました。

昨日の「安室島」よりは珊瑚の群生が少ないんですが、でも「安慶名敷島」もキレイでした。

珊瑚の廻りにはたくさんの魚の群れが集まって来るので絶景です。

テントまで戻って来て休んでいると、「阿真ビーチ」からサバニ船らしき船の走行練習をしているようで、次の島次の島へと渡っていました。

シーカヤックツアーも島に上陸していました。
お金があったら、またやりたいなー!

ボーっと海を眺めていたら、すぐ上空を米軍機らしい飛行機が頭の上を飛んで行きました。
こんなに低空で飛んで良いの?

再度海に入って、いつも見ている珊瑚の群生の場所まで泳いで行きました。
珊瑚に隠れるように稚魚が入り込む光景が何度も見ても絶景です。

潜って、珊瑚越しに水面を写していると人が?!
うちの奥さんです。

いろんな色の珊瑚が見られるんですが、どうしたらこんな色に成長するのか不思議です。

沖の方を見るとヨットが走行してました。
この水面から遠くの島を見る景色は、いつ見ても最高です。

楽しい時間はあっと言う間に過ぎ、お迎えの4時になり、港へと戻って行きました。

シャワーを浴びた後、今日は昨日の反省を踏まえてご飯は食べず、お酒とつまみを買いに行きました。

昨日見た時は、途中の店で「タコス」を販売してたんですが、今日はお店がやってないようなので、他のお店で「アメリカンドック」と「たこ焼き」をテイクアウトして帰りました。

部屋で1杯飲んで食べた後、酎ハイを1缶づつ持って、また港で乾杯しました。
あまりやっているお店が無いので、港に人が居るかと思っていたんですが、意外と他には誰も居ませんでした。
今日も、まったりとした時間が流れて行き、部屋で再度カンパイした後、またもや早々と就寝となりました。

3日目の朝は、昨日の夜に宮平さんから港で9時半ピックアップの連絡を受けていたので、遅れないように少し早目に到着してました。

今回は「古座間味ビーチ」への送迎バスには乗車しませんでした。

定刻通りに船が港に到着し乗り込むと「今日は土曜日なので、早々と島に渡るお客さんや、お一人様のお客さんが多いんですよ。」との話でした。

今日も無人島の海の色はキレイで最高の状態でした。

昨日私が設置した、テントまで登る石の階段は残っていたんですが、先に来たお客さんに取られていました。
今日テントを建てた場所は、海までの砂地の斜面はなだらかなんですが、テントの前辺りの海中に石ころがたくさん転がっていたので、フィンを履くときに足が少し痛い場所でした。

宿のお父さんが、宿泊客を島まで送迎して来ました。

午後からよりも、朝一番に海に入った方が透明度は良く、魚達も鮮やかに見えます。

何度見ても良い景色です。

自分の履いているフィン越しの海中写真です。

今日は少し風が強くて、テントやパラソルがバタバタと音をたててました。
うちのテントは、四隅に補助用ロープが付いているので、テントが風で斜めになる事は有りません。
ただ、補助用ロープが、かなり風で引っ張られているので、もしかするとロープが固定されている生地毎ちぎれるかも知れません?!

昨日見たサバニ船が、今日も練習していました。
漕いでいる姿を見ると、かなり疲れそうでした。

ラスト1本を泳いで来ました。

いつも目の前を泳いで行く奴です。
海の中でも鮮やかなので目に映えます。

今日のお迎えは午後2時で、少し早めに迎えに来ますと言われていたので、20分前にはテントもたたみ終わって待期していました。
途中、宿のお父さんが宿泊客の女の娘達を迎えに来て、私達にも「まだ時間有るなら、ボートシュノケーリングにでも連れて行こうか」と言ってくれましたが、時間が無かったので遠慮しました。
どこへ連れて行ってくれたのかなー?
帰る時に宿で女の娘達とすれ違ったので、何処へ連れて行ってもらったのか聞いて見れば良かったかなー?!

そうこうしているうちに送迎の船が到着し港へ帰って行きました。

帰りのフェリーもガラ空きで快適でした。
(船会社はあがったりかも知れませんけどね。)

帰りも2時間かけて「とまりん」へと戻って行きました。
次回8月は、渡嘉敷島へ予約を2回入れています。
何回行けるかなー!
↓水中動画をまたデジカメで撮って来ました。
安室島:動画
安慶名敷島:動画
|