【平成25年 8月 4日(日)〜平成25年 8月 5日(月)】

ここ1ヶ月程晴天が続き、2日休みがあったので、ついつい弾丸で渡嘉敷島へ行って来ました。

前回7月の3連休に座間味島へ行った時には「とまりん」が大混雑だったんですが、今回も日曜日という事もあって、まあまあ込んでいました。
船の座席は余裕で確保できたんですが、出航時間が近づくとそれでも満席状態になってました。

出航してあっという間に、1時間10分で渡嘉敷島に到着しました。
やっぱり渡嘉敷は近いな〜!
宿の送迎車に乗り込み、宿到着後、早々にチェックインを済ませました。

昼食は、宿近くの店「バラック」へ行き「野菜そば」を頂きました。
いやー、この店内の暑い事!
クーラーは入っているんですが、目の前の厨房で料理を作っているせいか?全く涼しく無く、大量の汗を放出しながらの食事となりました。
でも旨かった〜?
うん?
汗をかき過ぎて、味が思い出せません。。。

とにかく海に入らないと汗が止まらない気分だったので、宿に戻ってシュノーケルセット一式を持って、すぐにビーチへ向かいました。
やっぱりケラマの海は綺麗!

ビーチは3〜4列位縦にパラソルが並んでいて、まるで都心のビーチのようでした。
ケラマの良さが無〜い。

私達もテントを設置して、すぐに泳ぎに海に飛び込みました。

海が濁ってました。
毎年、阿波連ビーチでは水が澄んでいた事が有りません。
このビーチの海流がそうなのか?いつもこんな感じです。

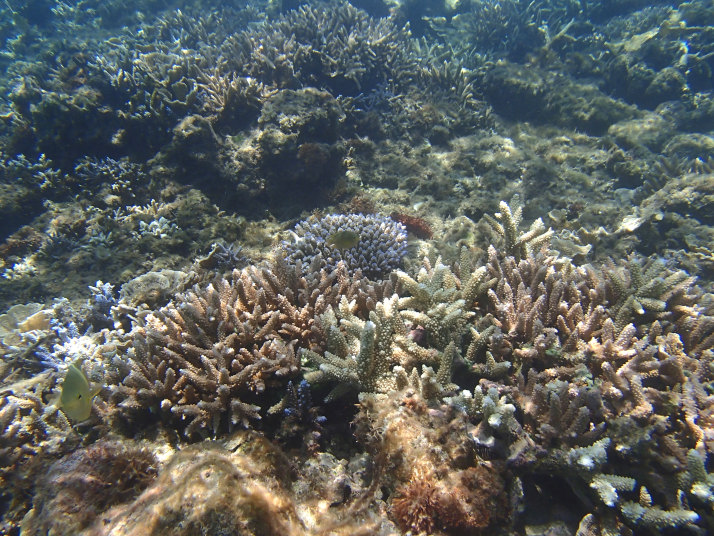
でもちょっと沖へ行くと、珊瑚の量は凄く多くて、圧巻です。

泳いでいる途中、水が濁っているせいか?うちの奥さんを見失ってしまい、しばらく探して仕方なく岸に上がると、うちの奥さんも同じく見失って戻って来てたそうです。

珊瑚が多いせいか?魚は結構大きいのが沢山見れました。
またかなり近くへ寄って来るので、ちょっと怖いくらいでした。

夕方4時頃まで泳いで宿へ戻り、シャワーを浴び着替えて、いつもの展望台へ一杯引っ掛けに行って見ました。

うめー!
この展望台で飲むビールが、日本一だと思ってます。
いやー!とにかく旨い!
さっ!飲んだら宿へ帰ろっと。

宿へ戻ると、丁度タイミング良く夕食の時間近くになり、先にビールを頼みました。
ところが有りませんでした。
どうやらビールの樽を置くのを辞めたそうで、商店で購入して来るよう言われ、買って来たビール持参で夕食を頂きました。
またまたビールが旨い!
部屋に戻っても中ハイを数本頂き、気を失いました。

翌朝。若干頭痛がしてました。
少し飲み過ぎたようです。
取り敢えず今日は無人島へ行く事に決めていたので、一番安いバナナボートで送迎をお願いしました。
(1人1,050円と最安値です。)

バナナボートですぐに無人島へ到着となりました。
朝9時過ぎ位の到着だったので間違いなく1番乗りだと思っていたら、大勢の団体が岩場で何かやっていました。
しばらく何をやってるのか?観察してましたが、さっぱり判らず、ただ暑そうだな〜と言う感じでした。

マイテントを設置し、ひとまず準備完了。

さっそく海の中へ、ザブーン!
やっぱり無人島の透明度は違います。

場所によっては、水が無い位の透明度が有り最高の気分です。

私達の上陸後は続々と色々な人達が船でやって来たんですが、大体1時間位で戻る人達が多いようでした。
中国系の団体さん達は、船の到着と同時に海に入り、アイヤー!アイヤー!と騒がしいな〜っと思いながら寝ていたら、あっという間に居なくなってました。
(30分位しか居ませんでした。)

少し潜って、下から写真を撮って見ました。
絵になる〜。

今回の、水中と空の半分づつの写真です。

あれ!もう午後2時になり、お迎えのバナナボートがやって来ました。

またすぐに阿波連ビーチへ到着し、宿でシャワーを浴び帰路へ。

今回は1泊2日と短い旅でしたが、渡嘉敷島を満喫できて丁度良い位だったかも?!
次回はまた今月、座間味島又は石垣島予定。
↓水中動画をまたデジカメで撮って来ました。
阿波連ビーチ:動画@
阿波連ビーチ:動画A
|