【平成25年 6月26日(水)〜平成25年 6月28日(金)】

今年は梅雨明けが早くて、大分前から晴天が続いていたんですが、何せ風が強くて波も高く、泳ぐにはどうだろうという天候の中、前々から予定していたため座間味へ行って来ました。

波も3mと高く船も少し揺れてはいましたが、何とか酔わずに無事座間味港に到着となりました。

今回6月末ならまだ宿の予約も余裕だろうと高をくくっていたら、いつもの宿はどこも満杯で、以前に数回宿泊した事の有る「コンドミニアムかにく(前メゾンかにく)」がやっと取れ宿泊して来ました。
大分前に泊まった事が有ったんですが、久しぶりにもかかわらず宿の奥さんは覚えてくれてました。
っと言うか島の人達に大分覚えられているようで、行く先々で「お久しぶりです」とか挨拶されます。
島が小さいせいか?私が覚えられ安いのか?どちらにしても、かなりの人が私を知ってくれてます。

取り敢えず古座間味ビーチへ向かうと、結構な風で雲行きもよくなく、明日からも天候が回復しそうも無く不安な海開きとなりました。
(前に並んでいたビーチパラソルは、一つづつ交互にひっくりかえってました。)

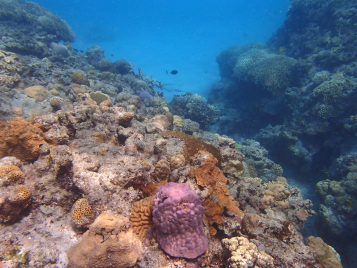
でも海に入ると「やっぱり座間味最高!!!」っと叫びたくなる程、綺麗な海でした。

海面の波は高かったんですが、海中はそれほど砂も舞い上がっておらず、結構透明度も有り満足でした。

魚達も一杯泳いでました。

今日からの数日は中潮だったんですが、干潮時には10cm位と大分水深が浅くなる為、うかうかしていると、珊瑚にぶつかって怪我しそうな浅さになってました。

クマノミはやっぱり人気で皆見てました。

夕方、宿に帰ってシャワーを浴びました。
(少し宿の外観が綺麗になっているな〜っと思っていたら、去年の台風で屋根が吹き飛んで、外観だけリフォームしたそうです。っで、宿の名前が、「メゾンかにく」から、「コンドミニアムかにく」に変わっていました。)

夕食は、いつも行ってる「まるみや食堂」が今日は定休日だと知っていたので、前回宿泊した宿の上に有る、「レストラン ラ・トゥーク」へ行きました。

開店と同時位の時間に入って、2組位のお客さんしか居なかったんですが「カウンターの端に詰めて座って下さい」と言われる程、予約で一杯そうでした。
確かに、ここの宿も取れなかったので、夕食のお客さんがたくさん居るはずなんですけどね!
早目の行動で夕食も何とかギリギリセーフでした。
この後のお客さんは皆さん断られてました。

ほんの数本チューハイを飲んだら、泳いで疲れたのか、すぐに眠ってしまい、あっと言う間に翌朝になりました。
通常なら大体2日目は阿嘉島へ行くんですが、今年から便が増えていたので、1本遅い船で行こうと港へ行くと「今日は欠航です。」と言われ、仕方無く、また古座間味ビーチへ行く事になりました。

やっぱり今日も波も高く雲も多くて嫌な空模様だったんですが、海の中はまた問題も無く綺麗でした。

徐々に晴れ間も広がって来て綺麗な海を見る事ができました。

午前中は水深が深くて、結構沖まで行くと下が見えづらい感じでした。

多分体験ダイビングだと思うんですが、そこら中に、ふな虫かな?!と思うほどたくさんいました。

昼過ぎになると丁度良い位の深さになり、珊瑚が綺麗見えてました。

今日も午後4時頃まで泳いで、夕方6時には「まるみや食堂」の開店時間に合わせて食べに行きました。
開店時間ピッタリに行っても窓際の席はすでに予約済みとの事でした。
どうしたんでしょう?座間味はすっかり人気になっちゃって。
何でもかんでも、都心のように予約しないと行けなくなると少し寂しいです。

最終日も3日連続で古座間味ビーチへ行きました。
今回が初かもしれません!
でも3日連続で行っても凄く満足です。

いつも使っている自前のテントを昨日の夕方洗い、今日は使いたくなかったので岩陰の微かな日陰ゾーンに陣取って泳ぐ事にしました。
ここは意外と人気スポットで昨日も家族連れが居たんですが、今日も私達の少し後にフランス人家族がやって来ました。

朝は水温がまだ冷たく、寒さを我慢して泳いでました。

少し泳ぎだすと、あっと言う間に慣れてくるんですけどね!
やっぱり朝一番の方が人がまだ誰も居ないので、砂も舞い上がらず透明度が有るようでした。

しばらく岩陰で休んでいたんですが全く暑くならず、むしろ寒気がして鳥肌が立って来たので、一旦食堂で暖かい物を食べる事にしました。
(とんこつラーメンを頼んだらインスタントラーメンでした。でも旨かった。)

食後、ビーチの一番奥の岩場まで歩いて戻り一泳ぎしました。

昼頃になると、私たちのすぐ横で釣り客が釣りを始めたので本日は終了となりました。

シャワーを浴びて、迎えの車が来るまで、しばらくデッキに座ってビーチを眺めていました。
この時が一番暑かったかも?!

最後の昼食は、以前にボートシュノーケリングツアーでお世話になった事の有る「和山」さんが運営する食堂で「もずくそば」を頂きました。

和山さんは、元々もずく漁師という事もあって、もずくを練り込んだそばは、とても美味しかったです。

今日も波が高くなると天気予報で調べていたので、ずいぶん早くから船着場で待ち構えて席を確保しました。
思ったよりも、お客さんは多く有りませんででした。
次回は7月半ばに宿も船も予約済みです。
|