【平成23年 8月22日(月)〜平成23年 8月24日(水)】

約2ヶ月振りに、今年2回目の座間味島へ行って来ました。
またまた今回も、けちけちツアーの為、バスに乗って「とまりん」まで行きました。
着いてさっそくキップ売り場に行って見ると、さすが夏休み!
今まで見た事の無い位のお客さんで溢れかえっていました。
キップを購入して昼ごはんの弁当を買い、すぐに乗船しました。
まだ席は空いていたのでほっとしました。
(これが通の技で、真っ先に席を確保しないと2時間辛い思いをします。)

約1時間半で阿嘉島に到着。
ここでも結構な人数のお客さんが降りて行きました。

昼12時頃に座間味島に到着となりました。
あれっ!今日は「遊遊」のお父さんが迎えに来ていません。
取り敢えずテクテクと宿へむかいチェックインを済ませました。
どうやらお父さんは別の用で遅れていたそうです。

すぐに着替えて、古座間味ビーチへお父さんに送ってもらいました。
通常、片道500円の送迎なんですが、他のお客さんと乗合だったので、まけてもらって2人で200円で済みました。(ラッキー!)

いつもは来ない夏休み期間中とあって、パラソルの数がずらりと並んでいました。
あっ!そう言えば。
今日は一緒の会社の同期の「I ワイ」君も、朝一番の高速船に乗って日帰りで遊びに来ると言ってたんですが、さっき電話が来て「さっき着いたフェリーに僕達も乗ってたんですが、今、古座間味ビーチに着きました。」と連絡が来ていました。
ビーチに着くと、I ワイ君が彼女とこっちに手を振っていました。

とにかく、やっぱり熱いのでテントを設置し、すぐに海に飛び込みました。

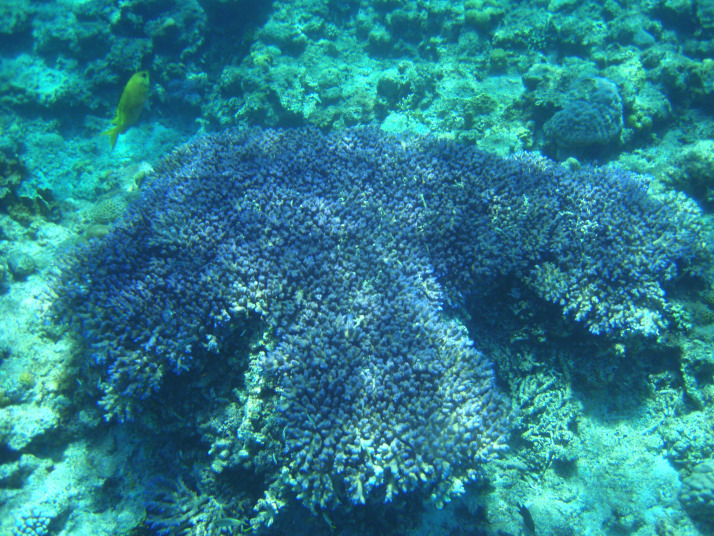
多少濁りはあったんですが、やっぱり海の中は綺麗でした。

I ワイ君も彼女も、普通に素潜りをこなしていました。
ただ少し心配なので、一応浮き輪を1つ脇に抱えながらの遊泳みたいでした。
途中「3時半頃のバスで帰ります」と言っていたので、私達は別々に泳ぎながら、ふと砂浜を見上げると、2人が早々に引き上げて行くのが見えました。
ちょっと日帰りはもったいない気がするけどね〜!まあ仕方がない。オイラの分も明日働いて下さい。

この日は午後4時頃まで泳いで、丁度来ていたバスに乗り込み宿へと帰りました。
(たまたま来ていたバスに急いで乗り込んだら、有料でビーチのレンタルをしていた人用の海の家のバスだったんですが、降りる時に運転手さんに間違えて乗った事を話すと無料にしてくれました。またまた帰りもラッキー!)
戻ってみると宿の中は大混雑でした。
シャワーも混雑し洗濯機も順番待ちで、洗濯物干しもかなりの密度で干されていました。
そうこうしているうちに「まるみや」の開店時間が近づいて来たので、すぐに夕食に向かいました。

丁度、開店時間の6時頃に行ったんですが、すでに2組の家族連れが座っていて、私達は予約無しでも座れたんですが、次のお客さんからは、後で電話で連絡され順番待ちになっていました。
夏休み、恐るべし!
でも、旨かった〜!
ちょっと今日は飲み過ぎて、予算オーバーになってしまいました。
ヘロヘロでした。
でも帰りに105スーパーで追加の酒を買って、部屋で飲んだくれて就寝となりました。

翌2日目は阿嘉島へ行きました。

朝7:45発の村内船に乗って8時に到着しました。

到着後すぐに「スーパー辰登城」でレンタル自転車を借りて、阿嘉大橋の上まで登って来ました。
ここからの眺めが、やっぱり一番な気がします。

今回はケラマ空港まで行って見ようと、慶留間島へ渡って疾走しました。
めちゃくちゃ爽快でした。
行っても行っても車一台すれ違う事も無いので、車線も関係なくF1のようなライン取りでコーナーを攻めていました。

ただ、最後の空港へ続く坂道が、かなり難所でした。
空港に入って見たんですが誰も居なく、も抜けの空でした。
お腹が痛くなったのでトイレを借りました。
最初に水を流したんですが、2回目の水がなかなか溜まりません。
貯水タンクの蓋を開けて見たんですが、ほんのチョロチョロとしか溜まっていませんでした。
仕方なく途中まで流して帰って来ました。
最後まで流し切れなくて、申し訳有りませんでした。ペコリ。

大分、時間をついやした気がしたんですが、ニシ浜ビーチへ着いたのは9時頃で、約1時間程しかうろついてませんでした。
でも疲れた〜。
ここのビーチも、こんなに人が居るのは見た事がない位、人が居ました。

今回は小潮に当っていたので、極端に水深が浅くなったり深くなったりもせず、快適にシュノーケルを満喫できました。
途中、海亀も見る事ができました。
優雅にゆったりと泳いでいるようでしたが、人が追いかけても全く追いついていませんでした。
うちの奥さんも全速力で泳いで追っかけてましたが、あっと言う間に見えなくなっていました。
そりゃー、そうだろう!

今日は人の数も多いので、昼食時が込むだろうと予想して、11:30には昼食に出かけました。

「パーラーみやま」に着いて、今日はカレーを頂きました。
ボンカレーでした。
でも旨かった。

午後も、また泳いでました。
ただ、ここは珊瑚が見える場所までが遠くて、途中ちょっと不安になったりもします。
今回も喉の調子が悪く、珊瑚が見える所まで行くと、すぐに引き返して戻って来ました。
うちの奥さんにはバカにされてました。

こいつ。
いっぱい近づいて来ます。
人を見ると餌をもらえると思っているようです。

午後2:30頃にテントを撤収し港へ戻って行きました。

港の岸壁にも、たくさんの珊瑚が張り付いていました。
ビーチよりも綺麗で、種類も多いかも?!

阿嘉島を午後3:30発の船で出発し、4時前には座間味島へと戻って来ました。

今日は昨日とうって変わって、宿のシャワーも込んでいませんでした。
念の為に早目に行った「まるみや」も空いていました。

本日も、たらふくご馳走を頂きました。
この店、那覇のうちの近所の店よりも絶対に美味しいと思います。

まだまだ明るいうちに105スーパーで酒を買い込み、部屋に戻って2次会となりました。
この日は昨日とうって変わって、宿も静かで良く眠れました。
(昨日はうるさくて、廊下をドタバタと歩く音が夜中中鳴り響いていました!)

翌3日目は無人島「安慶名敷島」へ渡し船で行きました。
いつもはガラガラで、電話で呼ばないといけなかったんですが、さすが夏休みシーズン中。
引っ切り無しに誰かを送迎しているようで、港に行くと丁度船が居たので乗せてもらいました。

今まで見た事もない、船先にパラソルまで付いていました。

安慶名敷島でも、着いてすぐにテントを設置し海へ飛び込みました。

やっぱり何と言っても無人島は透明度が違います。

珊瑚の数も増えてきているような気がします。

こいつは、いつもナツッコイ奴で、知らないうちにお腹の辺りや後ろをくっついて来ています。

初心者の体験ダイビングだと思いますが、上から見ると動きの鈍い深海魚に見えてきます。

一番のお気に入りの魚です。
何と言っても色が綺麗!
でも、なかなか写真を撮るタイミングが合わず、上から見た感じの細長い写真しか撮れません。

オーロラみたいな雲だったので撮ってみました。
(そうでもないかな〜!)

とにかく無人島なのに人口密度は非常に多かったんですが、でも綺麗な海でした。

午後2時丁度頃に船頭さんが迎えに来ました。

カヤックツアーの船です。
次回お金が有ったら、ちょっとやってみたいです。

透けて見えますよ〜!

すぐに港へ到着しシャワーと着替えを済ませて、宿で涼んで行きました。
今、仕事場で同期の青年が、以前、この島の民宿でバイトをし、その時に、この宿「サマーハウス遊遊」の台所を修理した事が有るので、奥さんに覚えているか聞いて見て下さいと言ってました。
私は写真を撮って持って行ったんですが奥さんは覚えてくれてました。
Mザワ君、喜べ!奥さんは覚えてくれてたぞー!
ところで、今回は大事件がおきました。
とうとう座間味島にもハブクラゲが出現したそうです。
着いた初日にビーチの人に気をつけるように言われたんですが、今日子供が刺されてヘリで那覇へ運ばれたそうです。
頼むからケラマには来ないでー!
ビーチにネットを張られるようになったら沖縄本島と同じようにつまらなくなるので。

午後3:30にフェリーに乗船して見ると2階席は満席でした。
仕方なく1階の雑魚寝部屋でギリギリ何とか席を確保しました。
でもこの席が寒くて寒くて、出航する前に外に出て行きました。

次の阿嘉島からも、たくさんの人達が乗り込んで来ました。
何やら修学旅行生みたいな、セーラー服の女の子達が乗り込んで来ました。
私達は2階の屋外後部座席に座っていたんですが、途中から波しぶきがかかりはじめて来たので屋上へ非難する事にしました。
屋上は凄い光景になっていました。
阿嘉島から乗り込んで来た女子高生達が、きれいに市場のまぐろのように一列に並んで寝て居ました。
私達も少し空いている場所に立って、そこで過ごしました。

そうこうしているうちに、無事「とまりん」に到着し今回の旅行も終了となりました。
また来月も行く予定です。
(連休の申請を会社に出しています。)
↓水中動画をまたデジカメで撮って来ました。
安慶名敷島:動画
|